Если цена в объявлении изменится, мы сразу сообщим вам об этом на электронную почту.
Нажимая «Подписаться», вы соглашаетесь с правилами.
продам коммерческую землю, Мочище11 000 000 ₽
14 авг 2024
Дата публикации объявления
Обн. 20 авг 2025
Дата обновления объявления
42
Количество просмотров (+ просмотры за сегодня)
24 444 ₽/сотку
Параметры
Площадь участка450 соток
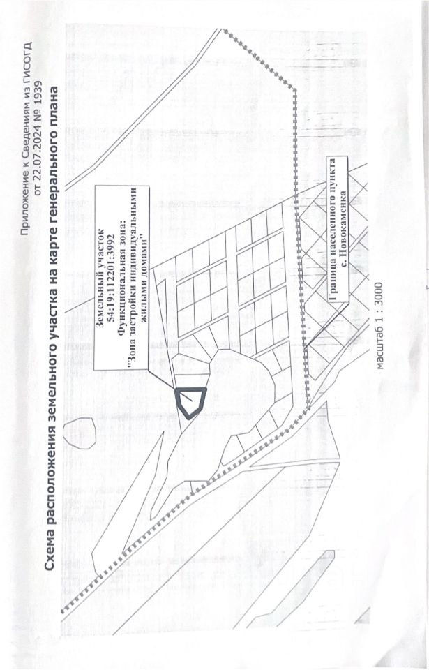
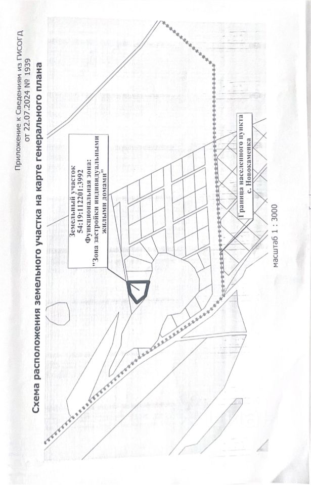
Участок вошёл в новые границы поселка Новокаменка (станционный сельсовет). Назначение (ИЖС) малоэтажная жилая застройка. Земель в Новосибирском районе, Новосибирской области почти не осталось. Идеально подойдет под таунхаусы и любые другие инвестиции проекты. Подключение тех условий за счет государства. Сельская ипотека. 20 мин езды от границ Калининского района. (30 от площади Калинина) В 10 минутах езды строиться город спутник Freedom Village на 15 тысяч жителей, граничит с поселками Облепиха, Клевер и совхоз Ленинский через территорию Ленинского пройдёт южный объезд. Указанная нарезка была сделана для прохождения общественных слушаний. Поэтому собственность получена на каждый участок с разрешением ИЖС, как пример один можно увидеть на фото.
Участок вошёл в новые границы поселка Новокаменка (станционный сельсовет). Назначение (ИЖС) малоэтажная жилая застройка. Земель в Новосибирском районе, Новосибирской области почти не осталось. Идеально подойдет под таунхаусы и любые другие инвестиции проекты. Подключение тех условий за счет государства. Сельская ипотека. 20 мин езды от границ Калининского района. (30 от площади Калинина) В 10 минутах езды строиться город спутник Freedom Village на 15 тысяч жителей, граничит с поселками Облепиха, Клевер и совхоз Ленинский через территорию Ленинского пройдёт южный объезд. Указанная нарезка была сделана для прохождения общественных слушаний. Поэтому собственность получена на каждый участок с разрешением ИЖС, как пример один можно увидеть на фото. В случае необходимости новый собственник может в течении 2 х недель поменять схему размещения участков в юстиции и получить новые кадастровые номера. Один собственник всех участков- частное лицо.